Completed Projects

Arana Enclave

Embracing a life of refined tranquillity and premium access

ZEEBRO HOMES Presents in Nestled in the heart of Kelambakkam – OMR Highway), this 5-acre plotted development by ZEEBRO HOMES PRIVATE LIMTED offers a rare blend of serene living and connectivity.

From charming plots starting at just 304 sq ft and scaling up to over 3,100 sq ft, the project has been crafted for discerning homeowners who seek more than just four walls — they seek a lifestyle.

Location & connectivity

  • • Strategically located mere minutes from the bustling IT-corridor of Chennai, the Kelambakkam-OMR Highway ensures swift access to employment hubs, beaches and city conveniences.
  • • KELAMBAKKAM, while calm and green, has rapidly emerged as a hotspot for plotted developments thanks to its evolving infrastructure.
  • • With approval from the Directorate of Town and Country Planning (DTCP) and full bank-loan support, the project offers both peace of mind and financial flexibility.

Why Arana Enclave stands apart

  • Ready to move: Possession has been completed, enabling buyers to immediately plan their vision.
  • Vastu & plotting finesse: The layout emphasises space-efficient plots, wide roads, landscaping and a layout that promotes well-being.
  • Approved & bank-friendly: The DTCP approval means smooth registration and bank financing. All leading banks support the project.

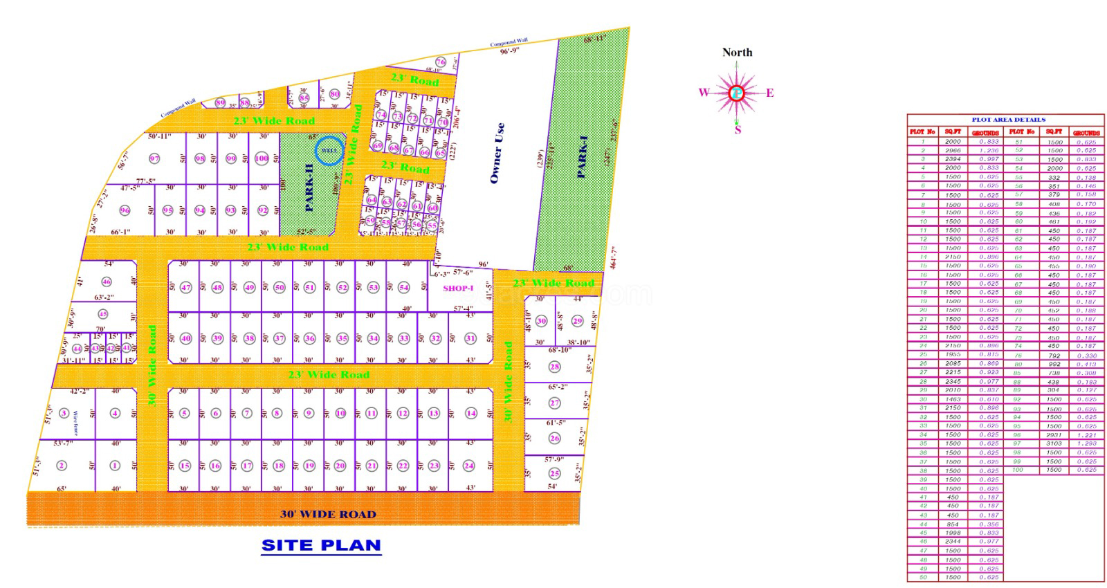
Plot sizes & investment snapshot

  • Plot sizes: From 304 sq ft up to 3,103 sq ft (approx 28 to 288 sq m) in the layout.
  • Guideline value (KELAMBAKKAM-A area) stands at ₹1,100 per sq ft (as of 2024) — a useful benchmark for future value potential.
  • With the project already in possession, the risk of construction-delay typical of many developments is mitigated.

Lifestyle & neighbourhood

Imagine stepping out into wide, tree-lined roads, greeted by landscaped open spaces and a gated community ambiance in a suburb that strikes the rare balance of calm and convenience. Schools, hospitals, supermarkets and weekend-getaway beaches are all within comfortable reach. KELAMBAKKAM might have been a quiet village once — today it’s a suburb rising in seriousness as a residential investment location.

Ideal for whom?

  • Young families seeking a build-your-own-home base in the city fringe, with investment upside.
  • Professionals in the IT/tech corridor who prefer a calm retreat after the workday yet want access to amenities.
  • Investors looking for plotted land in a credible DTCP-approved layout in the Chennai southern suburbs.

A gentle note of caution

While KELAMBAKKAM offers very promising connectivity, some public-transport linkages (e.g., suburban rail) remain less developed, so private conveyance is often preferred. As always with property purchase, ensure:

  • • Clear title and parent documents.
  • • Verified DTCP layout approval and bank loan eligibility.
  • • Understanding of local zone/regulations and infrastructure timeline.